News (page 4)
-
BP’s Plan To Use Drones to Cut Down Methane Emissions
BP recently announced their newest use of drones, monitoring and reducing gas emissions. In particular, BP is looking to monitor the ...
Read More -
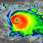
How Drones Offer Solutions To Tough Hurricane Problems
With hurricanes pounding the coast, officials are looking for innovative ways to help those affected. To that end, drones are being ...
Read More -
Parrot’s Anafi Introduces FPV Through Your Phone
Parrot’s newest drone is set to hit the market soon, and it looks to set a new standard for immersion when it comes to affordable FPV ...
Read More -
Drones and Cows? How Drones Are Changing The Cattle Industry
Drones are truly amazing, and are popping up in the unlikeliest of areas. The next big industry being revolutionized by drone ...
Read More -
FAA Issues “No Weapons” On Drones Statement
If you’ve been strapping weapons to your drones it might be time to put that on hold. The Federal Aviation Administration recently ...
Read More -
How Drones Are Becoming the Surveillance Tool of The Future
New drone technology promises to change the world of surveillance; for better or worse is yet to be determined. In his new book “Eyes ...
Read More -
Drone Startup Changes How Businesses Manage Inventory
Drones aren’t just for play anymore. In fact, these unmanned aerial vehicles are continually being used for more and more types of ...
Read More -
Drones Capture Video of Groups of Sharks at Multiple Beaches
Drones are at it again, this time capturing stunning aerial videos and photos of large groups of sharks. These groups are massive, ...
Read More -
DJI Releases New First Person View Camera and Goggles
DJI made a big announcement recently with the unveiling of their new first person view equipment kit. The kit comes with a transmitter ...
Read More -
FlytBase Brings Commercial Features To Prosumer Drones
Automating drone usage has long been a problem for enterprise adoption. In many cases, use cases that are appealing to companies are ...
Read More